Galerie photos

Arachnidae 21-Lepidoptera 11 soit 32 sélections sur 159 espèces du menu du frelon asiatique. Un nid dévore 11 Kg d'insectes par an. Son plat préféré : les abeilles. (Photos illustratives)

Diptères série 1 30 sélections sur 159 espèces du menu du frelon asiatique. Un nid dévore 11 Kg d'insectes par an. Son plat préféré : les abeilles. Photos illustratives

Diptères série 2 41 sélections sur 159 espèces du menu du frelon asiatique. Un nid dévore 11 Kg d'insectes par an. Son plat préféré : les abeilles. Photos illustratives.

Hymenoptères Homoptères 36 sélections sur 159 espèces du menu du frelon asiatique. Un nid dévore 11 kg d'insectes par an. Son plat préféré: Les abeilles !!! Photos illustratives

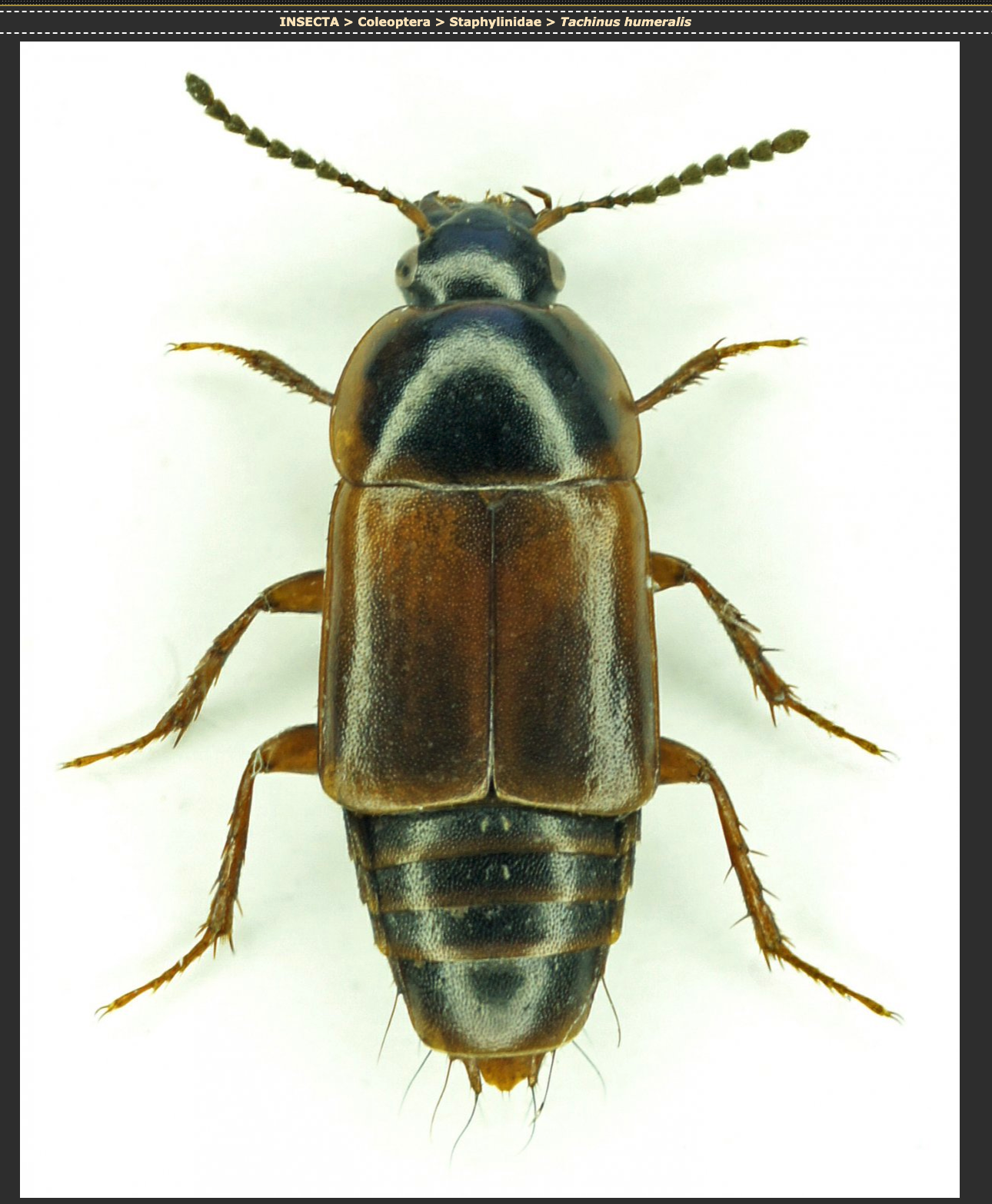
Coleoptera-mecoptera-Neuroptera-Fannia-Dryomyza-Dermaptera-Dictyoptera 19 sélections sur 159 espèces du menu frelon asiatique. Un nid dévore 11 kg d'insectes par an. Son Plat préféré: Les abeilles Photos illustratives

Nos interventions

Au menu annuel du nid de frelon Aranae 11Kg d'insectes avec une préference absolue pour les abeilles 159 espèces en photo (copie 1)

Origine des photos Le Monde des Insectes et ses adhérents contributeurs entomologistes https://www.insecte.org/

Au menu annuel du nid de frelon 11Kg d'insectes avec une préference absolue pour les abeilles 159 espèces en photo (2)

Diptères 70 sélections à découper en 30 série 1 et 40 série 2 images sur 159 espèces du menu du frelon asiatique. Un nid dévore 11 Kg d'insectes par an. Son plat préféré : les abeilles.